• Skip to primary navigation
  • Skip to main content
  • Skip to primary sidebar
  • Skip to footer
  • Home
  • About
  • Donate
  • Start
    • Contact
    • We Need Your Support (Donate)
    • Newsletter Signup
      • Daily
      • Weekly
    • Into the Storm (Hosted by Justin Deschamps)
    • Follow Our Social Media
    • Best Telegram Channels & Groups
    • Discernment 101
    • Media Archive (Shows, Videos, Presentations)
    • Where’s The Hope
  • Browse
    • Editor’s Top Content (Start Here)
    • Best Categories
      • Consciousness
      • Conspiracy
      • Disclosure
      • Extraterrestrials
      • History
      • Health
      • NWO Deep State
      • Philosophy
      • Occult
      • Self Empowerment
      • Spirituality
    • By Author
      • Justin Deschamps
        • Articles
        • Into The Storm (on EdgeofWonder.TV)
        • Awarewolf Radio (Podcast)
      • Adam AstroYogi Sanchez
      • Amber Wheeler
      • Barbara H Whitfield RT and Charles L Whitfield MD
      • Chandra Loveguard
      • Conscious Optimist
      • Marko De Francis
      • Lance Schuttler
        • EMF Harmonized (Cell Phone, Wi-Fi, Radiation Protection
      • Ryan Delarme
      • Will Justice
  • Products
    • EMF Harmonized (Cell Phone, Wi-Fi, Radiation Protection
    • Earth Science & Energy
    • Free Energy
    • AI and Transhumanism
    • Space
    • Nikola Tesla
    • ET
      • Ancient Technology
      • Crop Circles
      • UFOs
    • Conspiracy
      • Anti NWO Deep State
      • Domestic Spying
      • Freemasonry
      • Law & Legal Corruption
      • Mass Mind Control
      • NWO Conspiracy
      • Police State and Censorship
      • Propaganda
      • Snowden Conspiracy
      • Social Engineering
    • Misc.
      • Council on Foreign Relations
      • Music Industry
      • Paranormal
      • Pedagate and Pedophilia
      • Q Anon
      • Secret Space Program
      • White Hat
  • Sign Up
  • Election Fraud
  • Partners
    • EMF Harmonized
    • Ascent Nutrition

Stillness in the Storm

An Agent for Consciousness Evolution

  • Our Story
  • Support Us
  • Contact
  •  Sunday, May 17, 2026
  • Store
  • Our Social
    • BitChute
    • CloutHub
    • Gab
    • Gab TV
    • Gettr
    • MeWe
      • MeWe Group
    • Minds
    • Rumble
    • SubscribeStar
    • Telegram
      • Best Telegram Channels and Groups
    • Twitter (Justin Duchamps)
    • YouTube

“I Am At a Complete Loss,” Says Meteorologist of Irma As Storm Barrels Toward Florida

Thursday, September 7, 2017 By Justin Deschamps Leave a Comment

Spread the love



(Claire S Bernish) A record-destroying monster by every measure, the colossal Category 5 tempest known as Hurricane Irma knocked out communications and veritably leveled the Leewards and other islands throughout the Caribbean, with winds reaching a harrowing 151 mph on St. Barthelemy — or, it that speed was recorded shortly before the storm toppled the weather station and the sturdiest, government buildings, as well as nearly everything else, down to the shrubbery.

Related Hurricane Irma [War Goddess] So Powerful Setting Off Seismic EQ Monitors, Heading to Florida

Source – The Mind Unleashed


by Claire S Bernish, September 6th, 2017

Then, as it ripped a swath of decimation through the vacationer’s paradise, the U.S. National Hurricane Center in Miami recorded sustained speeds of 185 mph — the strongest on record for an Atlantic storm.

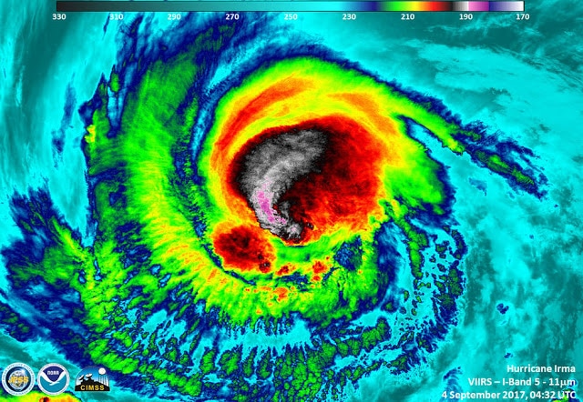
Experts, like National Weather Service Director Louis Uccellini, warn it would be ‘impossible’ to overstate the dangers associated with Hurricane Irma — a sentiment echoed by National Hurricane Center scientist, Taylor Trogdon, who tweeted satellite tracking of the storm with the apocalyptic caption,

“I am at a complete and utter loss for words looking at Irma’s appearance on satellite imagery.”

I am at a complete and utter loss for words looking at Irma’s appearance on satellite imagery. pic.twitter.com/B0ewFyvcSv

— Taylor Trogdon (@TTrogdon) September 5, 2017

In fact, the raging system — with hurricane-strength winds extending at least 60 miles and those of a tropical storm, some 175 miles — has such force, seismometers meant to measure earthquakes have begun to record the impacts of Irma.

“Seismometer recordings from the past 48 hours on Guadeloupe show Cat. 5 #Hurricane #Irma driving closer toward the Lesser Antilles,” Stephen Hicks, a seismologist at the National Oceanography Centre Southampton, tweeted.

Irma inserted herself into the record books early after rapidly structuring and developing a sharp eye, feeding on unusually warm waters of the sea — and now holds the title of strongest sustained winds of any Atlantic-formed hurricane in the history of statistic keeping.

With the close exceptions of storms formed in the Caribbean Sea and Gulf of Mexico — warm water temperatures and moist air pervading both, fertile grounds for the nastiest tropical cyclones — Irma has already demonstrated the potential to blow all previous Atlantic hurricanes out of the proverbial water.

“A hurricane’s primary fuel source is warm ocean water, so warmer water provides more fuel for the storm,” noted Phil Klotzbach, research scientist at Colorado State University’s Department of Atmospheric Science, for the Daily Beast. “Anomalously high mid-level relative humidity provides the moisture necessary for thunderstorm formation, which are the building blocks of hurricanes.”

The Mercury News explained, “Four other storms have had winds that strong in the overall Atlantic region but they were in the Caribbean Sea or the Gulf of Mexico, which are usually home to warmer waters that fuel cyclones. Hurricane Allen hit 190 mph in 1980, while 2005’s Wilma, 1988’s Gilbert and a 1935 great Florida Key storm all had 185 mph winds.”

On Wednesday, the Associated Press reported, “France sent emergency food and water rations to the French islands of Saint Martin and Saint Barthelemy, where Irma ripped off roofs and knocked out all electricity. Dutch marines who flew to three Dutch islands hammered by Irma reported extensive damage but no deaths or injuries.”

French minister of foreign territories, Annick Girardin, opined of the impact, “We have a lot to fear for a certain number of our compatriots who unfortunately didn’t want to listen to the protection measures and go to more secure sites … We’re preparing for the worst.”

Meteorologists and scientists have frantically adjusted computer models and forecasts to get a handle on Irma’s course, and as firmer predictions form — and while Puerto Rico this afternoon gets a first taste of the typhoon’s wrath — it appears Floridians would do well to take heed of the governor’s warning to evacuate.

Florida Governor Rick Scott warned residents Irma “is bigger than Andrew.”

“I want everybody to understand the importance of this,” he asserted in an interview Tuesday. “This could be worse [than Andrew].”

In 1992, Hurricane Andrew made landfall in Homestead, Florida, and proceeded to lay waste to Miami-Dade County — killing 65 people directly from the storm, as well as 43 others, and costing an adjusted $47.8 billion — as one of just three Category 5 hurricanes ever to make landfall in the United States.

Andrew demolished well over 25,000 homes and caused major damage to some 101,000 others, left millions without power or communications, stranded hundreds of thousands, ultimately forced changes in building codes and other hurricane safety measures, and sustained maximum winds of 165 mph — that’s 20 mph slower than Irma.

Miami-Dade County convened a grand jury to examine what went wrong before, during, and after that monster storm 25 years ago, which found, in part,

“The lack of adequate preparation by our community and our state was obvious. Even more obvious was the total lack of coordination that existed between the various disaster relief agencies after the hurricane had passed. No one was in charge. No one knew what to do. There was no plan. As a result, a large segment of our community that had been reduced to a ‘third world’ existence remained that way.”

Scott and a lengthy list of credible others believe Irma will break the kinds of records — damage, cost, destruction, and even casualties — that no one wants to see broken.

Monroe County, encompassing the Florida Keys and much of the southernmost tip of the state, has a mandatory evacuation order in effect for visitors and residents, alike, and additional counties ordered non-residents to leave, suggesting Floridians follow suit. Miami began evacuating disabled people and the elderly as businesspeople and homeowners raced to board windows and secure property however possible.

Scott also activated and deployed the Florida Air and Army National Guard in a limited capacity — with more troops to arrive by the end of the week — as New Jersey Governor Chris Christie bolstered the effort with his state’s Guard. President Trump declared states of emergency in Florida, the U.S. Virgin Islands, and Puerto Rico, in advance of Irma.

“Do not ignore evacuation orders,” Scott firmly demanded of residents in the still-broad area of Irma’s expected impact. “Remember: We can rebuild your home, but we cannot rebuild your life.”

Two additional systems — Jose, following on the heels of Irma, and Katia, in the southwestern Gulf of Mexico — have now been upgraded to hurricanes as of Wednesday afternoon. Meteorologists, busy with Irma, have yet to issue firm prognostications on either storm’s impact, though neither is believed to produce quite the stunning destructive power Irma is just beginning to display.

About The Author

Claire S Bernish


Claire Bernish began writing as an independent, investigative journalist in 2015, with works published and republished around the world. Not one to hold back, Claire’s particular areas of interest include U.S. foreign policy, analysis of international affairs, and everything pertaining to transparency and thwarting censorship. To keep up with the latest uncensored news, follow her on Facebook or Twitter: @Subversive_Pen.


(Featured image: Credits: UWM/SSEC/CIMSS, William Straka III, NASA)
_________________________
Stillness in the Storm Editor’s note: Did you find a spelling error or grammar mistake? Do you think this article needs a correction or update? Or do you just have some feedback? Send us an email at [email protected] with the error, headline and url. Thank you for reading.

_______

Source:


http://themindunleashed.com/2017/09/i-am-at-a-complete-loss-says-meteorologist-of-irma.html

Filed Under: Uncategorized Tagged With: hurricane, the mind unleashed, weather

Notices and Disclaimers

We need $2000 per month to pay our costs. Help us one time or recurring. (DONATE HERE)

To sign up for RSS updates, paste this link (https://stillnessinthestorm.com/feed/) into the search field of your preferred RSS Reader or Service (such as Feedly or gReader).

Subscribe to Stillness in the Storm Newsletter

“It is the mark of an educated mind to be able to entertain a thought without accepting it.” – Aristotle

This website is supported by readers like you.

If you find our work of value, consider making a donation. 

Stillness in the Storm DISCLAIMER: All articles, videos, statements, claims, views and opinions that appear anywhere on this site, whether stated as theories or absolute facts, are always presented by Stillness in the Storm as unverified—and should be personally fact checked and discerned by you, the reader. Any opinions or statements herein presented are not necessarily promoted, endorsed, or agreed to by Stillness, those who work with Stillness, or those who read Stillness. Any belief or conclusion gleaned from content on this site is solely the responsibility of you the reader to substantiate, fact check, and no harm comes to you or those around you. And any actions taken by those who read material on this site is solely the responsibility of the acting party. You are encouraged to think carefully and do your own research. Nothing on this site is meant to be believed without question or personal appraisal.

Content Disclaimer: All content on this site marked with “source – [enter website name and url]” is not owned by Stillness in the Storm. All content on this site that is not originally written, created, or posted as original, is owned by the original content creators, who retain exclusive jurisdiction of all intellectual property rights. Any copyrighted material on this site was shared in good faith, under fair use or creative commons. Any request to remove copyrighted material will be honored, provided proof of ownership is rendered. Send takedown requests to [email protected].

What is our mission? Why do we post what we do?

Our mission here is to curate (share) articles and information that we feel is important for the evolution of consciousness. Most of that information is written or produced by other people and organizations, which means it does not represent our views or opinions as managing staff of Stillness in the Storm. Some of the content is written by one of our writers and is clearly marked accordingly. Just because we share a CNN story that speaks badly about the President doesn’t mean we’re promoting anti-POTUS views. We’re reporting on the fact as it was reported, and that this event is important for us to know so we can better contend with the challenges of gaining freedom and prosperity. Similarly, just because we share a pro/anti-[insert issue or topic] content, such as a pro-second amendment piece or an anti-military video doesn’t mean we endorse what is said. Again, information is shared on this site for the purpose of evolving consciousness. In our opinion, consciousness evolves through the process of accumulating knowledge of the truth and contemplating that knowledge to distill wisdom and improve life by discovering and incorporating holistic values. Thus, sharing information from many different sources, with many different perspectives is the best way to maximize evolution. What’s more, the mastery of mind and discernment doesn’t occur in a vacuum, it is much like the immune system, it needs regular exposure to new things to stay healthy and strong. If you have any questions as to our mission or methods please reach out to us at [email protected].

Reader Interactions

Leave a Reply Cancel reply

Your email address will not be published. Required fields are marked *

This site uses Akismet to reduce spam. Learn how your comment data is processed.

Primary Sidebar

Search Our Archives

FUNDRAISER!

Latest Videos

Guarding Against Bio Tech and EMF - Fix The World Project | Just In Stillness

From around the web

News “they” don’t want you to see

Newsletter

You can unsubscribe anytime. For more details, review our Privacy Policy.

Thank you!

You have successfully joined our subscriber list.

.

We Need Your Support

Support our work!

Weekly Newsletter Sign UP

Only want to see emails once a week? Sign up for the Weekly Newsletter here: SIGN UP. (Make sure you send an email to [email protected] to confirm the change or it won’t work).

Latest Videos

Footer

  • Menus
  • Internship Program
  • RSS
  • Social Media
  • Media
  • Privacy Policy

Copyright © 2026 · Privacy Policy · Log in · Built by

This website wouldn't be the same without the ethical web hosting provided by Modern Masters. Modern Masters ethically serves small businesses in metaphysical, paranormal, healing, spirituality, homesteading, acupuncture and other related fields. Get the perfect website for your sacred work at Modern Masters.